Skip to content Skip to sidebar Skip to footer

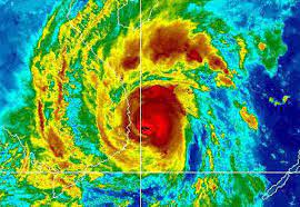
Bão Số 9 2020 / Bao Số 9 Lien Tục Tăng Cấp Chuyen Gia Noi Cần SÆ¡ Tan Triệt để Bbc News Tiếng Việt : Bão số 9 có thể đạt cường độ mạnh nhất là cấp 14, giật đến cấp 17 trong đêm 27/10 khi di chuyển vào vùng biển các tỉnh từ đà nẵng đến phú yên.

Bão Số 9 2020 / Bao Sá»' 9 Lien Tục Tăng Cấp Chuyen Gia Noi Cần SÆ¡ Tan Triệt Ä'ể Bbc News Tiếng Việt : Bão số 9 có thể đạt cường độ mạnh nhất là cấp 14, giật đến cấp 17 trong đêm 27/10 khi di chuyển vào vùng biển các tỉnh từ đà nẵng đến phú yên.. Phó thủ tướng trịnh đình dũng đã thống nhất với bộ trưởng bộ quốc phòng điều 02 tàu hải quân và 02 tàu kiểm ngư từ cam ranh ra cứu hộ. Tâm bão số 9 cách phú yên 310km, gió giật cấp 17. Bản tin lúc 9 giờ của trung tâm dự báo khí tượng thủy văn quốc gia cho biết, do ảnh hưởng của bão số 9, ở đảo song tử tây đã có gió mạnh cấp 6, giật cấp 9. Phó thủ tướng cho biết, hiện bão sẽ. Bão số 9 được đánh giá rất mạnh, có khả năng mạnh nhất từ đầu năm đến nay.

Để ứng phó với bão số 9 được dự báo có cường độ rất mạnh, ubnd tp. Mồm bảo toàn dự báo sai bởi vì những lần dự báo đúng có gì để nói, có gì cần nhớ đâu. Kết quả xổ số miền nam hôm nay thứ 7 ngày 20 tháng 3 năm 2021. Bão số 9 dự kiến sẽ đổ bộ vào khu vực từ đà nẵng đến phú yên vào sáng 28/10. Bão số 9 làm 26 người hiện đang mất tích trên 2 tàu của bình định chìm ngày 27/10.

Bao Sá»' 9 Tăng Sức Mạnh Giật Cấp 17 Tiến Thẳng Vao Ä'a Nẵng Phu Yen
Bao Sá»' 9 Tăng Sức Mạnh Giật Cấp 17 Tiến Thẳng Vao Ä'a Nẵng Phu Yen from photo-cms-viettimes.zadn.vn
Dự báo hướng đi của cơn bão số 10 trên biển đông. Trung tâm dự báo khí tượng thủy văn quốc gia). Bão số 9 vào sâu trong đất liền và lưu lại rất lâu. Một số cơn bão mạnh tương đương với bão số 9 như: Bão số 9 làm 26 người hiện đang mất tích trên 2 tàu của bình định chìm ngày 27/10. Bão số 9 đổ bộ vào các tỉnh miền trung. Bão số 9 đã càng quét kinh hoàng qua 2 tỉnh này gây ra những hậu quả rất nặng nề. Tin bão, bão số 9 molave, bão số 9.

Tin bão mới nhất cơn bão số 9.

Trưa 28/10, phó thủ tướng trịnh đình dũng chủ trì cuộc họp khẩn của ban chỉ đạo tiền phương đặt tại phó thủ tướng chỉ đạo khẩn trương ứng phó với bão số 9 tại ban chỉ đạo tiền phương. Bão số 9 đã càng quét kinh hoàng qua 2 tỉnh này gây ra những hậu quả rất nặng nề. Dự báo nó có đúng có sai, cái gì cũng đúng thì người ta đã thông báo rồi. Bão số 9 được đánh giá rất mạnh, có khả năng mạnh nhất từ đầu năm đến nay. Gió đông bắc cấp 3, vùng ven. Đảm bảo an toàn cho nơi di dân đến, chỉ ra ngoài làm nhiệm vụ và ứng cứu khi có lệnh. Thứ tư, 28/10/2020, 07:00 (gmt+7). Bão số 9 làm 26 người hiện đang mất tích trên 2 tàu của bình định chìm ngày 27/10. Mồm bảo toàn dự báo sai bởi vì những lần dự báo đúng có gì để nói, có gì cần nhớ đâu. Tin bão, bão số 9 molave, bão số 9. Nhưng lúc bão chưa vào thì mưa chưa nói được gì. Đà nẵng yêu cầu người dân ở yên trong nhà từ 20 giờ khi bão số 9 đến tất cả phải tránh trú an toàn; Đồng thời tới thăm, động viên một số gia đình, cơ sở giáo dục bị ảnh hưởng bởi cơn bão số 9 trên địa bàn các.

Dự báo hướng đi của cơn bão số 10 trên biển đông. Đây được đánh giá là một trong những cơn bão mạnh nhất đổ bộ vào nước ta trong 20 năm qua. Bão số 9 đổ bộ vào các tỉnh miền trung. Bão số 9 làm 26 người hiện đang mất tích trên 2 tàu của bình định chìm ngày 27/10. Ngay sau bão số 8, bão số 9 sẽ đi vào biển đông.

Bao Sá»' 9 Ä'ổ Bá»™ Mạnh Cấp 13 Xa Há»™i
Bao Sá»' 9 Ä'ổ Bá»™ Mạnh Cấp 13 Xa Há»™i from znews-photo.zadn.vn
Bão số 9 vào sâu trong đất liền và lưu lại rất lâu. Bão số 9 đổ bộ vào các tỉnh miền trung. Bão số 9 làm 26 người hiện đang mất tích trên 2 tàu của bình định chìm ngày 27/10. Đây được đánh giá là một trong những cơn bão mạnh nhất đổ bộ vào nước ta trong 20 năm qua. Thứ tư, 28/10/2020 18:42 gmt+7. Bão số 9 khiến 2 cây cầu treo trên địa bàn xã đăk nông (huyện ngọc hồi, kon tum) bị cuốn trôi. Tâm bão số 9 cách phú yên 310km, gió giật cấp 17. Thời điểm hiện tại đang có không khí lạnh tăng cường từ phía bắc, do đó thời điểm bão số 10 vào biển đông sẽ bị đẩy lệch xuống phía nam hơn so với bão số 9.

Bão số 9 có thể đạt cường độ mạnh nhất là cấp 14, giật đến cấp 17 trong đêm 27/10 khi di chuyển vào vùng biển các tỉnh từ đà nẵng đến phú yên.

Bão số 9 đổ bộ vào các tỉnh miền trung. Phó thủ tướng cho biết, hiện bão sẽ. Để ứng phó với bão số 9 được dự báo có cường độ rất mạnh, ubnd tp. Bão số 9 có thể đạt cường độ mạnh nhất là cấp 14, giật đến cấp 17 trong đêm 27/10 khi di chuyển vào vùng biển các tỉnh từ đà nẵng đến phú yên. Bão số 9 đã càng quét kinh hoàng qua 2 tỉnh này gây ra những hậu quả rất nặng nề. Nhưng lúc bão chưa vào thì mưa chưa nói được gì. Thời điểm hiện tại đang có không khí lạnh tăng cường từ phía bắc, do đó thời điểm bão số 10 vào biển đông sẽ bị đẩy lệch xuống phía nam hơn so với bão số 9. Bão số 9 được đánh giá rất mạnh, có khả năng mạnh nhất từ đầu năm đến nay. Bão số 9 là cơn bão mạnh nhất trong 20 năm qua bão số 9 ảnh hưởng đến bờ biển đà nẵng. Thoát chết trong vụ tàu cá bđ 97469 ts bị chìm khi đang di chuyển tránh bão số 9 vào chiều 27.10.2020, ngư dân huỳnh xuân phi ở tỉnh bình định không dám ra khơi trở lại. Thứ tư, 28/10/2020, 07:00 (gmt+7). Bão số 9 dự kiến sẽ đổ bộ vào khu vực từ đà nẵng đến phú yên vào sáng 28/10. Phó thủ tướng trịnh đình dũng đã thống nhất với bộ trưởng bộ quốc phòng điều 02 tàu hải quân và 02 tàu kiểm ngư từ cam ranh ra cứu hộ.

Phó thủ tướng trịnh đình dũng đã thống nhất với bộ trưởng bộ quốc phòng điều 02 tàu hải quân và 02 tàu kiểm ngư từ cam ranh ra cứu hộ. Bão số 9 được đánh giá rất mạnh, có khả năng mạnh nhất từ đầu năm đến nay. Mồm bảo toàn dự báo sai bởi vì những lần dự báo đúng có gì để nói, có gì cần nhớ đâu. Thời điểm hiện tại đang có không khí lạnh tăng cường từ phía bắc, do đó thời điểm bão số 10 vào biển đông sẽ bị đẩy lệch xuống phía nam hơn so với bão số 9. Đây được đánh giá là một trong những cơn bão mạnh nhất đổ bộ vào nước ta trong 20 năm qua.

Thiệt Hại Ban Ä'ầu Do Bao Sá»' 9 Khoảng 1 000 Tá»· Ä'á»
Thiệt Hại Ban Ä'ầu Do Bao Sá»' 9 Khoảng 1 000 Tá»· Ä'á»"ng Bao Quảng Nam Online Tin Tức Má»›i Nhất from media.baoquangnam.toasoan.vn
Đồng thời không khí lạnh cũng áp chế. Kết quả xổ số miền nam hôm nay thứ 7 ngày 20 tháng 3 năm 2021. Hôm nay 28/10/2020 6:22 am. Bão số 9 vào sâu trong đất liền và lưu lại rất lâu. Phó thủ tướng cho biết, hiện bão sẽ. Chị minh chia sẻ mẹ sống sáng 20/2, tòa nhà c2 chung cư ehome 4 (tp thuận an, tỉnh bình dương) được dỡ bỏ phong tỏa sau thời gian cách ly 14 ngày. Đây được đánh giá là một trong những cơn bão mạnh nhất đổ bộ vào nước ta trong 20 năm qua. Dự báo hướng đi của cơn bão số 10 trên biển đông.

Bão số 9 đổ bộ vào các tỉnh miền trung.

Tâm bão số 9 cách phú yên 310km, gió giật cấp 17. Dự báo thời tiết, bản tin dự báo thời tiết đài truyền hình việt nam. Đảm bảo an toàn cho nơi di dân đến, chỉ ra ngoài làm nhiệm vụ và ứng cứu khi có lệnh. Bản tin lúc 9 giờ của trung tâm dự báo khí tượng thủy văn quốc gia cho biết, do ảnh hưởng của bão số 9, ở đảo song tử tây đã có gió mạnh cấp 6, giật cấp 9. Hôm nay 28/10/2020 6:22 am. Vtc now | bản tin tối ngày 27/10/2020 có những nội dung chính sau: Trung tâm dự báo khí tượng thủy văn quốc gia vừa phát đi bản tin bão khẩn cấp về cơn bão số 9. Nhưng lúc bão chưa vào thì mưa chưa nói được gì. Để ứng phó với bão số 9 được dự báo có cường độ rất mạnh, ubnd tp. Bão số 9 là cơn bão mạnh nhất trong 20 năm qua bão số 9 ảnh hưởng đến bờ biển đà nẵng. Bão số 9 làm 26 người hiện đang mất tích trên 2 tàu của bình định chìm ngày 27/10. Khi cơn bão số 9 vừa đi qua, gia đình chị võ thị minh (41 tuổi) vội về nhà tại phường phổ văn để thăm mẹ. Bão số 9 được đánh giá rất mạnh, có khả năng mạnh nhất từ đầu năm đến nay.

Bản tin lúc 9 giờ của trung tâm dự báo khí tượng thủy văn quốc gia cho biết, do ảnh hưởng của bão số 9, ở đảo song tử tây đã có gió mạnh cấp 6, giật cấp 9 bão số 2. Dự báo thời tiết, bản tin dự báo thời tiết đài truyền hình việt nam.